Мускатные сорта винограда с описанием и фото
Содержимое
- 1 Какой виноград называют мускатным
- 2 Лучшие мускатные сорта винограда
- 2.1 Гамбургский
- 2.2 Мускат Блау
- 2.3 Мускат розовый
- 2.4 Плевен мускатный
- 2.5 Мускат летний
- 2.6 Мускат донской
- 2.7 Мускат сверхкрасный
- 2.8 Мускат Ливадия
- 2.9 Мускат новошахтинский
- 2.10 Русский мускат
- 2.11 Благородный
- 2.12 Мускат Московский
- 2.13 Дальневосточный
- 2.14 Мускат Диевский
- 2.15 Хрустинка
- 3 Заключение
Мускатные сорта винограда пользуются особой популярностью по причине высокой сахаристости. Существует множество урожайных и простых в выращивании разновидностей культуры.
Какой виноград называют мускатным
Мускатами называют целую группу сортов винограда, объединенных общими характеристиками. Для разновидностей свойственны:
- высокая сахаристость в сочетании с кислотностью от 19 до 33%;
- характерный аромат с терпкой мускусной ноткой;
- высокая урожайность и крупноплодность;
- хорошие фитонцидные свойства.

Родиной мускатного винограда является Средняя Азия, но в настоящее время сорта данной группы выращивают во Франции и Италии, в Испании и Крыму. Существуют столовые разновидности, предназначенные для употребления в качестве десерта, и технические — их используют в приготовлении вина.
Внимание! К недостаткам мускатных сортов относят низкую морозостойкость и восприимчивость к грибкам и вредителям.
Лучшие мускатные сорта винограда
Выращивать мускатный виноград рекомендуется в теплых регионах с большим количеством солнечных дней. Несмотря на это, существуют как особенно теплолюбивые, так и относительно холодостойкие гибридные сорта.
Гамбургский
Сорт винограда английского происхождения приносит круглые или овальные мелкие ягоды не более 4 г по массе с 2-3 косточками. Мякоть у муската сочная, кожица черная с восковым налетом, жесткая. Побеги сорта сначала зеленые, а затем становятся красно-коричневыми, листья пятилопастные и напоминают сердечки по форме.
Мускатный виноград Гамбургский приносит плоды крупными коническими кистями до 20 см в длину. Созревает в среднем за 148 дней и поспевает к концу сентября. Ягоды обладают хорошей лежкостью и могут храниться до трех месяцев без потери товарных свойств. При этом на ветвях плоды держатся недолго и быстро осыпаются.
Мускатный виноград Гамбургский сильно вымерзает при температурах ниже -19 °С
К минусам Гамбургского муската относят невысокий иммунитет. Виноград часто страдает от бактериального рака, милдью и оидиума, серой гнили, поражается корневой тлей. Особенно сложно выращивать культуру на тяжелых закисленных почвах с высоким уровнем влажности. Гамбургский виноград требует постоянных противогрибковых обработок и тщательного контроля со стороны садовода.
При благоприятных условиях сорт демонстрирует высокую урожайность и позволяет собрать до 120 ц плодов с 1 га посадок. Но в холодное и дождливое лето показатели сильно снижаются.
Мускат Блау
Швейцарский сорт винограда с мускатным вкусом относится к холодостойким разновидностям и выдерживает понижение температур до -29 °С.
Созревает за 135-140 дней, дает крупные рыхлые грозди до 300 г по массе. Ягоды у сорта черные, округлые, до 5 г, с несколькими косточками внутри.
Мускат Блау отличается хорошим иммунитетом к грибкам, но часто страдает от ос, поэтому кусты лучше укрывать мелкоячеистой сеткой. Требует регулярных обрезок и подкормок. Несмотря на высокую морозостойкость, предназначен для выращивания на юге, поскольку в северных регионах сорту не хватает солнечного света.
Мускатный виноград Блау подходит для столового употребления и для приготовления домашнего вина
Мускат розовый
Розовый мускат выращивают на территории Италии и Франции, а также на юге России, в Таджикистане и Казахстане, в Азербайджане и Армении. Сорт обладает среднерослыми медленно развивающимися кустами с красноватыми побегами и слабо опушенными листьями. Созревает за 140 дней.
Приносит цилиндрические плотные грозди до 200 г, состоящие из темно-розовых округлых ягод с выраженным восковым налетом. По мере поспевания почти чернеет, мякоть у сорта сочная с сильным мускусным ароматом.
Лучшие вкусовые характеристики Розовый мускат приобретает при температурах выше 29 °С. Поэтому виноград, выращенный в умеренном климате, даже при качественном уходе не такой сладкий, как южный.
Розовый мускат отличается хорошим вызреванием побегов — бесплодные лозы занимают не более 25% от общего объема
Плевен мускатный
Болгарский ранний сорт мускатного винограда достигает зрелости за 115 дней. На побегах формируются крупные грозди конической формы до 600 г каждая. Сами ягоды тоже довольно большие — до 8 г, в начале созревания зеленые, под солнцем приобретают ярко-желтую окраску. Мякоть у сорта хрустящая, сладкая на вкус, со слабым ароматом.
Кусты винограда Плевен достигают 2 м в высоту, разновидность легко укореняется и хорошо размножается прививкой. Созревает равномерно, в процессе выращивания требует регулярной обрезки на 6-8 глазков для сохранения урожайности и размеров ягод. Из-за высокой сладости привлекает ос, поэтому виноград рекомендуется защищать от насекомых при помощи сеток.
Внимание! Плевен мускатный относится к морозостойким сортам и не вымерзает при температурах до -25 °С.
Собирать виноград Плевен мускатный можно с начала августа
Мускат летний
Раннеспелый мускатный виноград молдавского происхождения полностью созревает за 120 суток. Вырастает до 3 м, дает цилиндроконические грозди с весом от 650 г до 1 кг. Ягоды у винограда длинные, овальные, желтовато-белого или янтарного цвета, в среднем не тяжелее 8 г.
Летний мускат отличается хорошим вызреванием лозы — до 80%. Такая особенность гарантирует ежегодное получение обильного урожая при благоприятной солнечной погоде. Сорт относится к среднеморозостойкой категории, но при температуре ниже -23 °С все равно требует укрытия. Обладает хорошим иммунитетом к ложной мучнистой росе.
Летний мускат на юге можно собирать с первых чисел августа
Мускат донской
Один из самых старых сортов мускатного винограда чаще всего используют в приготовлении вин. Разновидность отличается ранним созреванием, занимающим в среднем 115 дней, приносит достаточно компактные грозди до 200 г по массе.
Ягоды у сорта черные, круглой формы, всего около 2 г весом, с ароматной сочной мякотью.
Виноград долго не осыпается и не растрескивается, хорошо развивается на любых почвах. Донской мускат переносит похолодания до -30 °С и подходит для выращивания в регионах с морозными зимами и коротким малосолнечным летом.
Плодоносящие лозы донского муската занимают около 50% от общего количества ветвей
Мускат сверхкрасный
Гибридный сорт со средними показателями морозостойкости хорошо переносит неблагоприятные погодные условия. Обладает ярко-зелеными листьями и красными побегами, приносит ягоды всего через 95-100 дней после образования завязей. Выращивать разновидность можно в умеренном климате, где солнечных дней в году не так много, как на юге.
Плоды сверхкрасного сорта муската круглые или овальные по форме, с алой, почти фиолетовой после окончательного созревания кожицей. Ягоды собраны в грозди правильной цилиндрической формы по 300-400 г. Разновидность обладает относительно невысокой сахаристостью 18-20%, поэтому редко страдает от ос и других насекомых, что является его важным преимуществом.
Урожай сорта Сверхкрасный долго хранится, не гниет и не растрескивается, поэтому выращивать виноград можно для транспортировки и продажи. Мускат часто используют для изготовления сухих и сладких вин. К достоинствам разновидности можно отнести высокий иммунитет к серой гнили и другим грибкам. При этом милдью и оидиум по-прежнему представляют для винограда опасность, поэтому для кустов необходимо проводить регулярные профилактические опрыскивания.
Собирать Сверхкрасный ранний мускат можно уже в июле
Мускат Ливадия
Украинский ранний сорт с рыхлыми гроздями по 500-800 г дает желто-зеленые удлиненные ягоды с 1-3 мелкими косточками. Характеризуется высокой урожайностью, в теплое лето поспевает уже к концу июля. Хорошо переносит засуху и не вымерзает при температурах до -21 °С, редко страдает от грибков и вредителей. Кожица у ягод плотная, поэтому урожай не поражается осами. Побеги сорта вызревают хорошо, но нуждаются в обрезке на 4-6 глазков.
Выращивать виноград Ливадия на участке удобно из-за компактных размеров кустов.
Сорт невысокий, не требует опыления, редко загущается и почти не нуждается в формировании. Хорошо развивается на суглинистых и песчаных грунтах, но при грамотном уходе может расти практически на любой почве.
Сахаристость у ягод муската Ливадия относительно невысокая — около 19%. Это позволяет использовать сорт как в столовых целях, так и для изготовления алкогольных напитков.
Вкусовые качества сорта Ливадия сильно зависят от погоды — в холодное дождливое лето виноград становится кисловатым
Мускат новошахтинский
Гибридный российский сорт с крупными кистями по 400 г созревает примерно за 115 дней. Дает большие круглые ягоды пурпурно-красного цвета до 10 г, мякоть плодов сочная, похрустывающая, с мускатно-карамельным привкусом.
Новошахтинская разновидность обладает тонкой кожицей, но при этом виноград не склонен к растрескиванию. Переносит умеренные зимние морозы до -24 °С, демонстрирует хорошую лежкость и подходит для транспортировки. А вот устойчивость к заболеваниям у винограда низкая, в частности, сорт нередко страдает от черной гнили.
Новошахтинский мускат плодоносит обильно, но созревание у него неравномерное
Русский мускат
Отечественный столовый мускатный сорт винограда для Центрально-Черноземного региона обладает быстрорастущими побегами и зелеными или сероватыми листьями. Грозди небольшие, в среднем до 130 г по массе. Плоды у сорта зеленовато-желтые с янтарным оттенком, мякоть очень сочная на вкус и ароматная.
Русский мускат требует укрытия при температуре ниже -22 °С, не поражается милдью, но страдает от мучнистой росы и серой гнили. Недостатком сорта является склонность к растрескиванию. Для транспортировки виноград выращивают редко, его рекомендуется употреблять в свежем виде сразу после сбора урожая.
Русский мускат достигает полной спелости за 120 дней
Благородный
Белый мускатный сорт винограда гибридного происхождения с коническими кистями до 600 г приносит очень крупные ягоды. Отдельные из них могут достигать 18 г по массе. Плоды у сорта яйцевидной формы, с тонкой, но плотной белой кожицей.
Морозостойкость винограда средняя — до -23 °С, поэтому выращивать кусты лучше в южных областях.
Благородный мускат созревает в среднем за 115 суток
Мускат Московский
Мускатный сорт винограда для юга России и средней полосы вырастает в среднем до 1,8 м. Быстро развивается, обладает крупными листьями со слабым опушением у основания. Приносит средние по массе плодовые кисти цилиндрическо-конической формы.
Ягоды Московского муската светло-зеленые. Внутри плоды сладкие, сочные и хрустящие, с 2-3 маленькими косточками. При выращивании на солнце Московский мускат приобретает желтоватый оттенок. Кожица у ягод плотная, но тонкая. Созревание происходит в среднем за 3,5-4 месяца, сладость плодов определяется, в том числе погодными условиями и количеством солнечного света.
Московский мускат подходит для выращивания в умеренном климате, хотя при понижении температуры до -25 °С и более требует укрытия. Предпочитает солнечные участки и плохо плодоносит в тени. Редко страдает от грибковых инфекций, но нуждается в обработках от паутинного клеща и других насекомых.
Почвы предпочитает рыхлые и кисловатые, хотя при отсутствии заболачивания может успешно развиваться практически на любом грунте.
Сахаристость Московского муската составляет в среднем 17,5%, во вкусе ощущается легкая кислинка
Дальневосточный
Гибридный сорт мускатного винограда выведен селекционерами из Приморья. Урожайность у растения средняя, но грозди совсем небольшие — всего около 80 г каждая. Кисти обычно конические, реже разветвленные, отдельные ягоды округлые и слегка приплюснутые, с беловато-желтой кожицей и приятным сладким вкусом. Масса плодов составляет 1,5-2 г, сахаристость находится на уровне 24%.
Внимание! Дальневосточный мускат ценят главным образом за высокую морозостойкость вплоть до -30 °С. К преимуществам разновидности относят также хороший иммунитет к грибкам и вредителям.
Дальневосточный мускат поспевает к середине лета и подходит для выращивания в северных регионах
Мускат Диевский
Один из лучших мускатных сортов винограда для вина и столового применения отличается хорошим вызреванием лозы и высокой приживаемостью черенков.
Обладает среднерослыми кустами и крупными листьями с незначительным рассечением, полностью поспевает в течение 120 дней.
Кисти у сорта Диевский большие, до 800 г по массе, умеренно рыхлые. Ягоды очень крупные, овальные с белой или желтоватой плотной кожицей, до 20 г. Характеризуются гармоничным вкусом и высокой сочностью, подходят для употребления в свежем виде и для приготовления домашнего вина.
Диевский мускат спокойно выдерживает похолодания до -23 С, переносит засуху и повышенную влажность, хорошо развивается на всех типах почв. В целом демонстрирует неплохую урожайность, хотя в дождливые сезоны она может снижаться. Восприимчивость к грибкам и вредителям у сорта средняя, при регулярных профилактических обработках виноград редко страдает от болезней и насекомых.
При выращивании Диевского муската необходимо уделять внимание обрезкам. Сорт плодоносит довольно обильно, в результате чего лозы оказываются перегружены. Перед началом созревания урожая их рекомендуется укорачивать, иначе ягоды не достигнут максимальных размеров и окажутся мелкими.
Диевский мускат при благоприятных погодных условиях снимают в середине августа
Хрустинка
Гибридный мускатный виноград относится к столовой группе сортов, приносит средние по размеру кисти до 600 г массой. Плоды крупные и увесистые, до 16 г, удлиненной формы с закругленными кончиками. Кожица у винограда красно-фиолетовая, ягоды красивые и не чернеют при созревании.
На вкус плоды сладкие с мускусной ноткой, сочные и хрустящие. Долго сохраняются на ветвях и не осыпаются, не растрескиваются и не гниют. Виноград Хрустинка подходит для длительной транспортировки, хранить урожай при невысокой температуре можно в течение трех месяцев.
При выращивании на юге мускат Хрустинка может приносить грозди более 1 кг по массе
Заключение
Мускатные сорта винограда считаются элитными благодаря особенно сладкому вкусу и необычному терпкому аромату. Отличаются хорошим плодоношением, но предъявляют высокие требования к условиям выращивания. Даже морозостойким сортам необходимо большое количество тепла и солнечного света.
Виноград «Мускат Черный» — описание, фото и характеристики сорта
Основные характеристики:
- Назначение: технический
- Цвет ягоды: черный, с густым пруином
- Размер ягоды: средняя
- Вкус: гармоничный, со слабым мускатным ароматом
- С косточками: да
- Срок созревания: среднепоздний
- Срок созревания, дней: 137-149
- Морозостойкость, °C: -18
- Синонимы названия: Кайяба, Красный фронтиньянский, Мускат Кальяба, Мускат кальябский, Москато неру, Мускат а пти гран нуар, Ротер фронтиньян, Фекете мушкотай
Вес грозди, г: 75-90
Посмотреть все характеристики
Одним из самых древних сортов винограда считается Мускат Черный.
Его выращивают во многих странах мира. Вкус плодов этого винограда характеризуется изысканными нотками муската. Кроме того, культура получила много положительных отзывов от садовников благодаря высокой урожайности. Для того чтобы вырастить такой виноград на своем дачном участке, необходимо знать особенности его посадки.
Авторы и история появления
Виноград Мускат Черный появился вследствие мутации Муската Белого, при этом точное происхождение этого сорта неизвестно. На территории Крыма этот сорт стали высаживать в первой половине XIX века, после чего он получил широкое распространение в других регионах. Мускат Черный садовники называют Фекете мушкотай, Ротер фронтиньян, Мускат Кальяба, Кайяба, Москато неру. Есть и другие синонимы названия.
Описание и внешний вид
Сорт Мускат Черный отличается сильным ростом кустов. У молоденьких побегов коронки окрашены в светло-зеленый цвет, они слегка опушены.
Сами же побеги в однолетнем возрасте красно-коричневого оттенка, на узлах окраска более интенсивная. Листья небольшие, округлой формы, воронковидные. Выемка черешков закрытая, не имеет просвета. Осенью листья окрашиваются в желтый цвет.
Цветки винограда обоеполые, поэтому культура хорошо опыляется. Грозди конической формы с небольшими лопастями. Их размер в среднем составляет в длину до 16 см и в ширину до 10 см. Грозди довольно плотные. Их вес не превышает 90 г.
Ягоды и их вкус
Срок созревания и урожайность
Мускат Черный относится к среднепозднему сорту.
Вегетационный период у культуры длится от 137 до 149 дней. Как правило, урожай собирают в начале сентября. Чтобы получить более сахаристые плоды, рекомендуется уборку начинать позже. Если выполнять все условия ухода за культурой, то можно собрать от 40 до 100 ц/га ягод.
Особенности выращивания
Мускат Черный не относится к прихотливым культурам в уходе, при этом для его выращивания требуется умеренный полив, плодородная почва и теплый климат. Чаще всего этот сорт можно встретить в садах на территории Крыма.
Саженцы нужно высаживать в почву как весной, так и осенью, но каждый из этих периодов посадки имеет определенные плюсы и минусы. Например, многие садоводы предпочитают сажать виноград по осени, так как именно в это время имеется огромный выбор посадочного материала, саженцы неплохо адаптируются, но могут при этом пострадать от первых заморозков. Для осенней посадки рекомендуется выбирать октябрь.
Если же выполнять посадку весной, то это нужно делать в первой половине апреля, когда почва прогревается до +10 градусов Цельсия.
Перед началом процесса посадки нужно заранее выбрать и подготовить участок, который должен быть хорошо освещен солнцем и защищен от ветра. Саженцы рекомендуется высаживать от строений с южной стороны. Кроме этого, саженцы необходимо подвязывать к специальным опорам.
Для посадки готовится яма размером 80х80х80 см, ее засыпают плодородной почвой, смешанной с золой и навозом. При желании можно добавить суперфосфат. Перед посадкой саженец следует вымочить в воде с добавлением стимулятора роста.
Огромную роль играет и последующий уход за высаженными саженцами. Для этого необходимо выполнять простые действия.
Полив. Начинать его следует весной. На 1 куст нужно примерно от 2 до 3 ведер теплой и отстоянной воды. Кроме этого, обязательно нужно выполнить полив в период цветения. Перед зимовкой поливают кусты только в том случае, если осень была засушливой.

Внесение удобрений. Подкормку обычно начинают на третий год жизни саженцев, используя удобрения как химического, так и органического состава. Кусты, которые начали плодоносить, необходимо подкармливать на протяжении периода развития 3 раза. При появлении первой завязи рекомендуется вносить фосфорсодержащие и калийные удобрения.
Уход за почвой. После каждого полива землю следует рыхлить, это обеспечивает хорошее проникновение кислорода к корням. Помимо этого, одновременно с рыхлением удаляются и сорняки.
Обрезка. На протяжении первых 3-х лет после высадки саженцев обрезку нужно делать только весной, до начала распускания почек. Зрелые же кусты рекомендуется обрезать перед укрытием на зиму, по осени. Во время обрезки необходимо удалять нижние ветви до 4-й и верхние – до 12-й почки. На каждом кусте сорта Мускат Черный должно оставаться от 30 до 40 глазков.
Морозостойкость и необходимость укрытия
Мускат Черный выдерживает морозы до -18 градусов Цельсия.
Общие характеристики
- Синонимы названия
- Кайяба, Красный фронтиньянский, Мускат Кальяба, Мускат кальябский, Москато неру, Мускат а пти гран нуар, Ротер фронтиньян, Фекете мушкотай
- Назначение
- технический
- Урожайность
- 40-100 ц/га
Грозди
- Форма грозди
- цилиндро-коническая или коническая, с небольшими лопастями
- Плотность грозди
плотная
- Вес грозди, г
- 75-90
Ягоды
- Цвет ягоды
- черный, с густым пруином
- С косточками
- да
-
Количество семян, шт.
- 2-3
- Вкус
- гармоничный, со слабым мускатным ароматом
- Сахар, г/дм³
- 213
- Кислотность, г/дм³
- 7,8
- Кожица
- прочная
- Мякоть
- нежная, сочная
- Форма ягоды
- круглая
- Размер ягоды, мм
- диаметр 15-19
- Размер ягоды
- средняя
Выращивание
- Морозостойкость, °C
- -18
- Тип цветка
- обоеполый
- Сила роста
- сильнорослый
- Процент плодоносных побегов
- 61
- Число гроздей на побег
- 0,7-1,1
- Необходимость укрытия
- да
- Устойчивость к грибковым заболеваниям
- сравнительно устойчив
Созревание
- Срок созревания, дней
- 137-149
- Срок созревания
- среднепоздний
Отзывы
Пока нет ни одного отзыва.
Вы можете написать свой отзыв, чтобы помочь другим читателям.
Маскат | JancisRobinson.com
Виноград Мускат, возможно, не считается одной из великих международных классиков, но его история во много раз длиннее, чем у таких новичков, как, например, Каберне Совиньон. Почти наверняка это был сорт винограда, о котором писатели классических времен говорили, что он особенно привлекателен для насекомых своим пьянящим запахом и впечатляющей зрелостью. Мускатный виноград также отличается уникальными винами, которые действительно имеют вкус и запах винограда. Но, как и следовало ожидать от сорта винограда, известного древним грекам и римлянам, семейство мускатных особенно разнообразно и разветвлено.
Самый благородный сорт муската с маленькими бледно-желтыми ягодами, известный на французском языке как Muscat Blanc à Petits Grains и на испанском языке как Moscatel de Grano Menudo . В Италии он может называться Moscato d’Asti , Moscato di Canelli или просто Moscato Bianco .
Его другие псевдонимы включают Muscat of Frontignan , Muscat Lunel, Muskateller, Moschato Spinas или Muscat of Spina 9.0008 Этот сорт муската способен производить вина с настоящей утонченностью и особенно чистым цветочным вкусом винограда. Виноград может иметь особенно золотой оттенок, поэтому его иногда называют Gelber Muskateller или Moscato Giallo, но есть также мутации с виноградом с более темной кожицей, от розового через красный до бледно-коричневого. Действительно, некоторые из лучших вин из всех, сделанных из муската, производятся в Австралии из варианта очень насыщенного цвета, называемого Brown Muscat .
Этот сорт Муската почти наверняка является сортом винограда с самой длинной историей из всех известных сегодня лоз и, вероятно, был самым распространенным сортом винограда, завезенным в южную Галлию римлянами. К Средним векам, когда крепкие, сладкие вина, которые он хорошо пригоден для производства (и те, которые до сих пор наиболее почитаются в Греции), были особенно популярны, он уже хорошо зарекомендовал себя в Руссильоне и Пьемонте и был первым задокументированным сортом как в Германии, так и в Германии.
Эльзас. Его распространенность в таких относительно прохладных винодельческих регионах любопытна, поскольку этот мускат зацветает особенно рано, что подвергает его риску повреждения весенними заморозками во всех странах, кроме самого теплого климата. Крошечный акр муската с мелкими ягодами, называемого (Gelber) Muskateller, все еще выращивается в Германии, но он затмевается современным скрещиванием Morio-Muskat, которое не содержит ни одного гена Muscat.
Сегодня мускат широко выращивается на северо-западе Италии, где из него чаще всего производят легкие (иногда только 5% спирта), слегка шипучие, сладкие, виноградные вина с маркировкой Asti или, лучше, Moscato d’Asti. Эти кокетливые жидкости могут быть популярными напитками в середине дня или освежающими напитками в конце еды. Мой друг и коллега Майкл Бродбент очень верит в эту последнюю функцию.
Мускат с мелкими ягодами — самый распространенный сорт муската, произрастающий также на юге Франции, либо с крепким золотистым сиропом vins doux naturels с маркировкой Muscat de Beaumes-de-Venise, Frontignan или Lunel; или в супер-фруктовой, пенистой Clairette de Die; или в крепких коричнево-желтых, изюмных жидкостях с этикеткой Muscat de Rivesaltes из большой области в Руссильоне.
На мой вкус, самый освежающий южно-французский мускат vin doux naturel происходит из небольшого района между Минервуа и Сент-Шиньян, который называется Сен-Жан-де-Минервуа. На самом деле, на юге Франции выращивают так много муската, что существует мода превращать его в сухие белые столовые вина, полнотелые белые вина с устрашающим виноградным ароматом, но с едва ощутимым сахаром во вкусе. Muscat du Cap Corse, сделанный из этого муската на крайнем севере Корсики, долгое время был одним из самых впечатляющих вин острова.
Даже сегодня лучшие греческие мускаты из Самоса и Патры, а иногда и из Кефалонии демонстрируют способность этого сорта винограда к жаркому средиземноморскому климату, хотя лучшие вина производятся с виноградников, обращенных на север, на высоте более 300 м (1000 футов), так что некоторая свежесть сохраняется.
Но, возможно, величайшее вино, полученное из этой темнокожей мутации этого конкретного члена семейства мускатных лоз (официально известного в Muscat à Petits Grains Rouges), — это мускат Rutherglen, липкий сок коричневого муската, обогащенный и выдержанный в древесине, часто кипящие жестяные сараи на крайнем северо-западе штата Виктория.
Соседний Гленрован производит похожие вина, и все они на вкус напоминают смесь мадеры и жидкого фруктового пирога, вызывающую гниение зубов. С серьезным возрастом в бочке они могут быть такими же преследующими, как и любой портвейн.
Наиболее выращиваемый сорт мускатной лозы в Испании — довольно грубый член семейства, Muscat of Alexandria , также известный здесь как Moscatel Gordo (Blanco) , Moscatel de España или Moscatel de Málag. . У него более крупные ягоды и меньше утонченности — больше апельсинового варенья, чем апельсинового цвета. Если считается, что Мускат Блан возник в Древней Греции, считается, что эта версия с более крупными ягодами, как следует из названия, пришла из Египта. Он отвечает за множество часто довольно болезненных Москателей в Испании и обычно более бодрящий Москатель де Сетубал в Португалии. João Pires — раннее сухое столовое вино на основе муската, изготовленное в Португалии австралийцем.
В 1970-х и даже 1980-х годах некоторые из широко выращиваемых в Австралии сортов Gordo Blanco (иногда называемых Lexia , из Александрии) были превращены в основное столовое вино, но сегодня это гораздо менее распространено.
Как Hanepoot , это наиболее часто выращиваемый мускат в Южной Африке, хотя есть также мускат с мелкими ягодами, называемый здесь Muscadel , который отвечает за знаменитое Vin de Constance , современное воспроизведение исторического вина Констанции.
Мускат Александрийский также широко выращивается в Руссильоне, где он известен под названием 9.0007 Muscat Romain , и его можно найти во многих Мускатах де Ривесальт, а также в Баньюле и Мори, южные французские ответы на портвейн, смешанные с Гренашем различных оттенков и, возможно, Мускатным Бланком.
Мускат Александрийский – самый распространенный мускат в настоящее время в восточном Средиземноморье, хотя большинство лоз выращивают для фруктов и изюма, а не для вина. Однако на юге Италии и в окрестностях Сицилии виноград, известный как Zibibbo , дает множество липких десертных вин, в том числе модные Moscato di Pantelleria и Moscato di Lipari. Контраст между этими сиропами и виноградной пеной, также производимой из Муската на северо-западе Италии, едва ли может быть большим.
Третий член семьи Мускат, Мускат Оттонель , преобладает в старой империи Габсбургов в Восточной Европе (тогда как Мускат Блан или Тамянка по-русски был предпочтительным Мускатом в старой Российской империи, как древний и давно жили Мускаты нескольких цветов из Массандровского императорского винзавода в Ялте. Это скрещивание 19-го века, выведенное в Луаре из столового винограда Chasselas и меньшего местного муската, далеко не самый приятный мускат, хотя известно, что он дает странный впечатляющий пример позднего урожая в австрийском Бургенланде. В Болгарии он известен как Тамянка, в Сербии как Тамянка или Тамьяника/Тамняника, а в Румынии как 9.0007 Tămâioasă Ottonel, , тогда как Muscat Blanc называется Tămâioasă Alba , а Мускат Александрийский, Tămâioasă Românească . В Венгрии, где он широко выращивается, Мускат Оттонель называется Muskotály , а Мускат Блан, выращиваемый почти исключительно вокруг Токая, называется Lunel или Sárga Muskotály (желтый Мускат).
Многие из этих восточноевропейских вин на основе муската не имеют особых достоинств, кроме неопределенной виноградности, но число исключений растет.
Хотя Мускат Блан был оригинальным Мускатом Эльзаса, Мускат Оттонель узурпировал это положение, потому что его намного легче выращивать. Серьезный эльзасский мускат найти труднее, чем серьезные эльзасские вина, сделанные из Рислинга, Пино Гри и Гевюрцтраминера, но они существуют.
Мускат Гамбург — столовый сорт винограда, который в свое время был винифицирован, а Мускат Бейли А — специалитет Японии.
Сегодня мускат играет важную роль в качестве ингредиента для смешивания. Небольшая часть придала аромат и ощущение фруктовости множеству вин, включая Белый Зинфандель в Калифорнии, Гевюрцтраминер в Эльзасе и других местах, а также более дешевые розливы белых сортов Роны, таких как Вионье.
Некоторые из моих любимых мускатов включают Zind Humbrecht Muscat Goldert, Эльзас; Chambers Rare Rutherglen Muscat, Австралия; Morris Rare Rutherglen Muscat, Австралия; Мускат дю Кап Корс, Домен Антуан Арена; Clos Nicrosi или Gioielli, Корсика; Мускат де Сен-Жан де Минервуа, Домен де Монтаюк; Вин де Констанс, Кляйн Констанция, Южная Африка; Muscat Paraparoussis Rio-Patra, Греция; и Sámos Anthemis, Самос, Греция.
описание сорта и фотографии
Истоки виноградарства уходят в глубь веков. Согласно последним археологическим данным, виноделие зародилось на Ближнем Востоке около 8 тысяч лет назад. Сейчас эта отрасль является одной из ведущих для многих стран с теплым климатом. Что уж говорить о бесчисленном множестве сортов винограда. Мускат на слуху у многих. Между тем, это не отдельный гибрид, а целая группа сортов.
Ягоды этой сортовой группы ценятся за специфический мускусный аромат и используются как в свежем виде, так и для производства вина. Мускаты выращивают в Венгрии, Испании, Португалии, Италии, Франции, Крыму, Молдове и др. Наиболее широко распространены сорта винограда: мускат белый (ладанный), гамбургский, черный, розовый, венгерский, александрийский. Остановимся на каждом из них подробнее.
Мускат белый
Мускат белый, или ладан известен виноделам также под названиями мелкоягодник, люнельский, фронтинский, тамянка. Это один из древнейших сортов, происходящий, скорее всего, из Египта, Сирии или Аравии.
На данный момент он широко распространен во Франции, Венгрии, Испании, Италии, Югославии, Румынии, Болгарии и США.
Среднеспелый сорт винограда. Мускат белый созревает примерно за 140 дней. Растение среднерослое, образующиеся на нем грозди имеют массу от 100 до 450 г и размеры 13-17 см на 10 см, коническую форму. Не слишком крупные ягоды (диаметром до 1,5 см и массой около 4 граммов) очень плотно «сидят» на кисти. Виноград характеризуется способностью к высокому накоплению сахаров в плодах (18-25%). Хороший технический сорт с характерным мускатным вкусом и ароматом.
Из недостатков стоит отметить восприимчивость гороха, требовательность к условиям выращивания, низкую устойчивость к морозам и болезням. Постепенно выделяются районированные сорта, например Мускат белый Шатилова (сибирской селекции) хорошо растет на Урале и в Сибири.
Виноград Мускат розовый: Описание сорта
Известен сравнительно молодой сорт винограда, а также Мускат Руж де Фронтиньян, красный, Москато Россо ди Мадера и др.
Является разновидностью белого и появился предположительно несколько столетий назад на юге- запад Европы. Сейчас его выращивают практически во всех винодельческих странах, особенно во Франции, Португалии, Италии, Армении.
Гроздь розового муската среднего размера — 14-18 см в длину и 7-10 см в ширину. Имеет конусо-цилиндрическую форму. Ягоды длиной 1-1,8 см и шириной 1-1,7 см очень плотные, округлые, окрашены в темно-красный цвет, имеют сильный восковой налет и ярко выраженный мускатный вкус.
Виноград Розовый Мускат (фото вверху) отличается неустойчивостью к милдью и высокой чувствительностью к оидиуму или, другими словами, к мучнистой росе. Зимостойкость невысокая, но гораздо лучше адаптирована к различным почвенным условиям и уровню влажности по сравнению с предыдущим сортом.
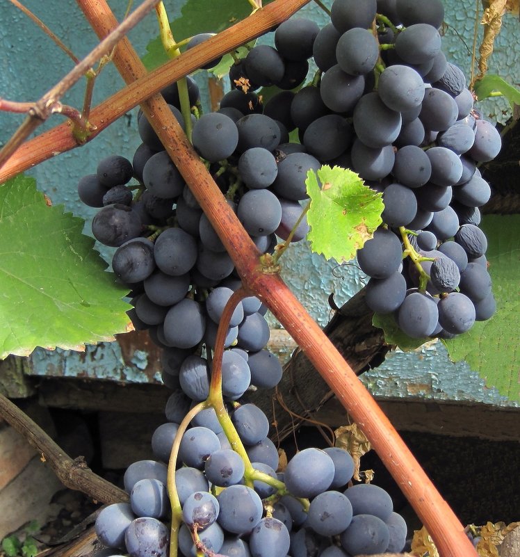
Черный мускат
Черный мускат широко известен как Кайаба или Каяба. Точная история его происхождения не известна, первые упоминания о сорте относятся к 19 веку. Виноград предпочитает теплый климат и наиболее распространен на склонах юга Франции, а также в Крыму.
Грозди ягод имеют средние размеры (до 15 см в длину), но имеют внушительную массу за счет плотного расположения плодов (до 800 г). Ягоды вырастают до 1,9 см в диаметре. Они имеют округлую форму, плотную кожицу, окрашивающуюся в стадии зрелости в темно-синий цвет и покрытую небольшим слоем воскового налета. Ягоды отличаются сочностью, сладостью и ярко выраженным ароматом. Виноград Мускат черный из-за высокого содержания сахаров используется для приготовления изюма.
Сорт обладает высокой устойчивостью к различным гнилям и листовым болезням, но чувствителен к листовертке. Чувствителен к холоду, малоустойчив к морозам, требователен к почве и уровню влажности в ней.
Мускат Гамбург
Гамбург Мускат – универсальный столовый сорт, широко распространенный в Венгрии, Франции, Тунисе, Греции и Румынии. Кроме того, встречается на полях США, Аргентины и некоторых других стран. Грозди винограда довольно крупные: в длину достигают 18-20 см, в ширину — 11-17 см. Кисть конической формы, рыхлая, разветвленная, на травянисто-зеленой ножке средней длины.
Ягоды крупные, обычно 1,2-2,6 см длиной и 1,1-1,7 см в диаметре, круглые или овальные, полные фиолетово-голубого цвета с густым восковым налетом. Масса одной грозди 170-260 г. Устойчивость к болезням очень низкая, теплолюбив, требователен к почве и влаге.
Виноград Мускат Венгерский
Мускат Венгерский известен также под названиями Раздроб, Крокан, Ваниль. Это универсальный сорт народной селекции, среднеспелый (созревает к концу сентября). Растения характеризуются высокой силой роста, хорошим вызреванием побегов, стабильной урожайностью (от средней до высокой). Грозди средней величины и плотности, конической формы. Ягоды округлые, зеленовато-желтые с коричневым «загаром», с толстой кожицей, плотной и хрустящей мякотью. Мускат венгерский очень чувствителен к влажности почвы и воздуха. При избытке воды ягоды быстро покрываются плесенью или трескаются. Сорт используется для приготовления вин и соков с характерным мускатным ароматом.
Мускат Александрийский
Мускат Александрийский виноград выращивали в древней Аравии, в настоящее время сорт широко распространен в Испании, Греции, Италии, на юге Франции.
Универсальный столовый сорт винограда, образующий крупные рыхлые гроздья (длиной 15-20 см, шириной 10-13 см) массой до 230-240 г. Крупные ягоды имеют овальную форму, желтую окраску (при неполной зрелости с зеленым оттенком) и матовую поверхность с пятнами коричневого «загара». Мякоть плода мясистая, плотная и сочная с сильно выраженным мускатным ароматом.
Сорт характеризуется очень низкой зимостойкостью и устойчивостью к болезням, требовательность к почвам. Лучший Мускат Александрия растет на плодородных и умеренно влажных почвах. По назначению универсален, используется для приготовления вин, компотов, варенья, соков, изюма.
Вина мускатные
Людям, далеким от виноградарства, при упоминании вина часто первым на ум приходит именно мускат. Виноград, описание которого мы представили выше, — это лишь часть богатого сорта. По популярности Мускат опережает Изабеллу.
Узнать его насыщенный и яркий вкус несложно, он определяется сразу. Мускат наиболее полно и сильно проявляет себя в винах.


